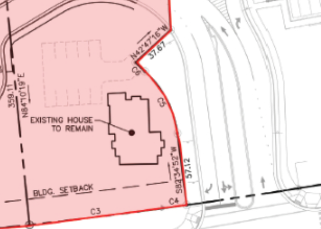
Preserved within the approved Charterwood Mixed-Use Development, the Hogan House is a 19th-century farmhouse with roughly 100 feet of frontage on Martin Luther King Jr. Boulevard that was intentionally set aside as a standalone historic resource for adaptive reuse. A preservation easement protects the home and keeps it separate from new construction, reinforcing its visibility and role as a living reminder of Chapel Hill’s agricultural past. With upgraded access and infrastructure, fare-free Chapel Hill Transit nearby, and a location along the planned North–South Bus Rapid Transit corridor, plus proximity to UNC-Chapel Hill’s future Carolina North expansion, the site sits at the center of growth without being a redevelopment site itself, creating a rare opportunity for a preservation-minded steward to modernize its use while protecting its legacy.
-
Office/Retail for Sale
-
Address: 1641 Martin Luther King Jr. Blvd. Chapel Hill 27516
-
Zoning: MU-V
-
Land: 0.24 AC
-
Building: 1,874 SF
-
Parking: 10 spaces
-
Sale Price: Contact chela@boldnc.com
Attachements






